赤条蜂和黄蜂麻痹毛毛虫或蟋蟀来喂自己的孩子,然后封闭洞口,离开巢飞到别处去。不过并不是每一种蜂都是这样生活的,比如你将要听到的这一种蜂——它们每天用新鲜的食物喂它的孩子——捕蝇蜂。

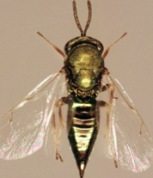
- 捕蝇蜂
- 动物界
- 节肢动物门
- 单肢亚门
- 昆虫纲
- 膜翅目
捕蝇蜂喜欢在明亮的阳光下和蔚蓝的天空中选择最轻最松的泥土做它的巢。我有时候会在一片没有树荫的广场上观察它们。天气很热,要避免烈日的煎熬只有躺在小沙堆后面,把头钻进兔子洞,或是为自己预备一把大伞。我就采取了后一种办法,如果大家愿意在七月快要结束的时候来和我一同坐在这样的大伞下,那么他(或她)也可以和我一起饱饱眼福:
一只捕蝇蜂突然飞来,毫不犹豫地停在某个地方,这地方在我看来和别处没什么不同。它前足上长着一排排的硬毛,会使你想起一把扫帚,一个刷子或一个钉锚。它用前脚工作,用四只后脚支持着自己的身体。它先把沙耙起,然后向后拂去,它的动作非常快,使这些连续不断的沙子看上去像不住地流水一样流到七八寸以外的地方。这种沙粒的飞射要维持五分钟或十分钟左右。
和这些沙粒堆在一起的,还有木屑、腐烂的叶片和其它废料的碎屑。捕蝇蜂把这些垃圾一一用嘴搬掉,这就是它工作的目的。它要使它家门前的沙都是又轻又细的“高级沙粒”,没有任何粗重的杂质。这样,当它为孩子们捕了蝇回来的时候,它就可以很容易地打开一条通路,把猎物带到洞里去。这种清洁工作,它总是在空闲的时候做。譬如,在猎物已经储藏了许多,足够它的孩子们吃一段时间的时候,它没有必要再出去觅食,那么它就会抽出时间来清除垃圾,像一个出色的家庭主妇那样。我们可以看出,在它认真勤勉地工作的时候,它显得非常快乐和满足。也许这正是一个做母亲的看到孩子们在自己盖的屋子里成长起来所涌上心头的喜悦吧!
如果我们用一把小刀,在母蜂所刮的沙地上挖下去,我们首先会发现一条隧道,有一个手指那么粗,或许有八寸到十二寸那么长,接着就是一个小屋。小屋的大小足以容纳三个胡桃,可是到目前为止,这里面只有一个蝇和一只白色的小卵,那就是捕蝇蜂的卵。大约二十四个小时之后,这个卵就能孵化成一条小虫,小虫出来后靠吃母亲为它准备好的死蝇长大。
大约两三天之后,捕蝇蜂的幼虫就快把那死蝇吃完了。这时的母蜂离家并不很远,你可以看到它有时从花蕊里吸几口蜜汁充饥,有时快乐地坐在火热的沙地上——它是在看守自己的家。它会常常在家门口耙去一些沙,然后,又飞走了,过了一段时间再来。可是不管它在外面呆多久,它总不会忘记估算一下它家里的小屋中的食物还能维持多久,作为一个母亲,它的本能会告诉它什么时候它孩子的食物快吃完了,于是它就回到自己的巢里。至于这巢,上面已经提到过,在外面看来和其它沙地是一样的,没有明显的洞口或什么标记,可是它自己却清清楚楚地知道它的巢在哪一点。它每次回来探望孩子,总不忘带些丰盛的礼物回来,这次它带回一只大蝇,它把蝇送进地下的家后,自己又出来,直到需要它再送第三只蝇的时候再下去,这中间隔的时间是很短的,因为幼虫的胃口始终很好,如果母蜂稍有懈怠的话,它的孩子就要挨饿了。
这样维持了两个星期,幼虫不停地在成长。食物的需求量也越来越大,母蜂也不断地送食物进来。在第二个星期末,幼虫已经长得很肥胖了。母亲加倍努力地寻找食物以供养这老也吃不饱的孩子,直到它完全长大,不再需要别人给它准备食物为止。有一次我算了一下,一条幼虫长大过程中所需要吃的蝇加起来达八十二只之多。
我有时候怀疑,这种蜂为什么不像其它蜂那样预先储藏好食物,把洞封好,自己也就可以离开,何必老耐着性子守在洞口呢?可能是因为它捕回的死蝇不能藏得太久的缘故吧。可是它又为什么不像黄翅蜂一样把蝇麻痹,而是把它杀死呢?我推测可能是因为蝇毕竟和毛毛虫、蟋蟀不大一样,它是那样的轻,那样的软,放不了多久就会缩得没有了。所以这东西必须吃新鲜的,否则就没有什么价值了。另一个原因可能是蝇非常灵敏,必须擒得快,不像那呆头呆脑的毛毛虫和庞然大物似的蟋蟀,目标明显,动作又不灵便,让母蜂有充分的时间去麻痹它们。捕蝇蜂在必要的时候,须随时应用它的爪子、嘴巴或刺,这样捕捉来的蝇当然不能随心所欲地让它半死不活了,要么让蝇逃掉了,要么捉个死蝇。母蜂当然选择后者。
要观察到捕蝇蜂袭击苍蝇可不是件容易的事。因为它总是在离巢很远的地方捕捉的。可是“踏破铁蹄无觅处,’得来全不费功夫”,有一次,我就无意之中看到了这精彩的一幕,饱了眼福。那天我张着伞坐在烈日下。享受着伞的阴影的不只我一个,还有各种马蝇也躲在我的伞下休息。它们平静地歇在张着的伞顶上。我在伞下没有事情做,就欣赏着它们大大的金色眼睛来消磨时间。那些眼睛在我的伞下闪闪发光,好像一颗颗宝石。有时候伞的某一部分被晒得太热了,它们就不得不转移阵地,移到没有被太阳光晒到的那部分。我很喜欢看它们这种严肃的动作。
有一天,我正在伞下打瞌睡,突然,“梆!”的一声,张着的伞忽然像皮鼓似地被击了一下。
“怎么回事?”我一下子清醒了许多。
大概是一颗榆树的果子掉到伞上了吧!我想。
可是“梆——梆——梆!”一声接着一声地传来。是哪个爱搞恶作剧的家伙把种子或石子往我伞上扔?我离开了我的伞荫,四处巡视了一下,什么也没有。那声音又响起来了,我抬头往伞顶一望,原来如此!我终于明白是怎么回事了。附近的捕蝇蜂发现我这里有这么多肥美的食物,都飞过来捕取猎物,一切都像我希望的那样进行着,我只需静静地坐着观看便是了。
每隔十五分钟左右,就有一只捕蝇蜂飞进来,直向伞顶冲去,发出一声重击。于是战争就在伞顶上展开了。那是多么精彩和紧张啊,大家打得难分难解,不分上下,使你辨不清谁是袭击者谁是自卫者。不过这种争执并没有维持很久。不一会儿,捕蝇蜂就用双腿夹着它的俘虏飞走了。奇怪的是,这愚蠢的蝇群还不肯离开这危险的场所——的确,外面实在太热了,与其被晒死,还不如在里面“今朝有酒今朝醉”,先尽情享受再说。
现在,让我来观察这只带着战利品回去的蜂吧。当它接近自己家的时候,突然发出一种尖锐的嗡嗡声,听来颇有点凄凉的意味,好像十分不安。这声音一直继续着,直到它降落到地面上为止。它先在地面上方盘旋了一会,然后又小心翼翼地降落,如果它那敏锐的眼睛发现了一些什么不正常的情形,它就要降低下落的速度,在上面盘旋几秒钟,飞上去又飞下来,然后像一支箭一般地飞开去了。稍过一会儿,我们就知道它为什么犹豫不决了。不到一会儿,它又回来了。这次它先在高处巡视一遍,然后慢慢降落到地上某一点——这一点在我看来实在没什么特别之处。
我想它大概是随便降落在这一点上的,降落之后,它还得慢慢地寻找自己巢的入口。可是后来我发现自己又低估了捕蝇蜂。它恰好不偏不倚地降落在自己的巢上。它把前面的沙扒开一些,再用头一顶,便顺利地拖着它的猎物进巢了。它进去后,旁边的沙粒立刻又堆上洞口把它堵住。这和我从前所看到的无数次捕蝇蜂回巢的情形一样。我常常惊异于蜂类为什么毫不犹豫地找到它的巢的入口,虽然那入口处和旁边的地方完全一样,没有任何可以辨别的记号。
捕蝇蜂回巢的时候,并不是每次要在空中盘旋许多时候,它之所以要这样不停盘旋是因为它看到自己的巢被一种巨大的危险所笼罩。它那种凄凉的嗡嗡声是表示它内心的忧愁和恐惧。在没有危险的时候,它绝对不会发出这种声音。那么它的敌人是谁呢?原来是一只小小的蝇,外表看上去十分的软弱无能。而这捕蝇蜂,它虽是蝇类的天敌,大马蝇的刽子手,但当它发现自己被这种小蝇所监视的时候,它竟然会吓得不敢进洞去。而事实上那只小蝇小得像一个不够它的幼虫吃一顿的侏儒。
这情形似乎像猫怕老鼠一样让人费解。为什么捕蝇蜂不冲下去把这个无耻的小蝇赶走呢?这个我无法解释。也许这其貌不扬的小蝇自有它的厉害之处,在茫茫宇宙中占有相当的地位,就像许多凶猛的动物一样。大自然的规则常常是我们人类不能了解的。
我以后还会讲到这种蝇把卵产在捕蝇蜂放在巢内的猎物上。它的幼虫孵出来以后就掠夺了捕蝇蜂幼虫的养料。如果食物不够的话,它们还会毫不手软地把捕蝇蜂的幼虫当作美食吃掉。所以,它决不是一种微不足道的小蝇,而是一个无情的杀手。捕蝇蜂那么害怕它,不是没有道理的。那么这种小蝇是怎么把卵产在捕蝇蜂的卵上的呢?这非常值得研究。
它从不走近捕蝇蜂的巢,只是耐着性子等着捕蝇蜂拖着丰美的猎物回来。当捕蝇蜂半个身体钻进洞穴的时候,它就冲下去附在那只死的马蝇身上,当捕蝇蜂艰难地拖着马蝇进洞的时候,这种小蝇就以惊人的速度在马蝇身上产下一个卵,有时候会连续地产下两三个。捕蝇蜂从前半身钻进洞到完全把猎物拖进洞,前后只不过是一瞬间的功夫,可就是在这一瞬间的时间内,小蝇已经完成了它的任务。现在它可以在洞旁的阳光里蹲下,为它的第二次偷袭作准备了。
平时总有三四个这样的小蝇同时出现在一个巢的附近。对于进巢的入口它们往往知道得比较清楚。它们那暗红的肤色、大而红的眼睛、以及它们惊人的耐心,常常使我想到绑票的情形。那些歹徒穿着黑色的衣服,头上包着红布,静静地躲在阴暗的角落里,等候机会来拦住过路的客人。
那可怜的捕蝇蜂是因为看到了这种歹徒在家门口才犯踌躇的。它知道那帮歹徒一定会干坏事的。但是最后它还是飞进了自己的家。于是这些小歹徒似的蝇们便飞起来紧紧跟着它,它向前,它们也向前;它后退,它们也后退;它无法使它们离开。最后它终于撑不住了,不得不歇歇脚,那些小歹徒也跟着歇下来,但仍然虎视眈眈地跟在背后。于是捕蝇蜂又飞起来,带着一声愤怒的呜咽声。这些无耻的小歹徒仍然厚着脸皮紧迫不舍。捕蝇蜂只好另外想了一个办法,另找了一条路,以比较高的速度飞行,希望它的敌人跟不上它而最终迷失方向。没想到那伙小歹徒早已料到这一招,折回到洞口等它回来。果然,不一会儿,以为已经摆脱了危险的捕蝇蜂们回来了,这帮小歹徒赶紧起身直追。母蜂的耐心已经没有了,最后终于被它们找着了产卵的机会。
好在我们刚才所讲的那只捕蝇蜂没有遭到这种不幸,所以让我们来结束这一章吧。蜂的幼虫吃着母亲留给它们的粮食,慢慢地长大。过了两个星期,它就开始做茧了。可是在它身体内没有足够的丝,所以它必须掺入沙粒以增加它的硬度。它把残余的食物堆积到小屋的一角,先把地面扫清,然后在墙和墙之间搭起白色的美丽的丝来。它先把丝攀成一个网,然后开始第二步工作。
它在网的中央做一个吊床。这吊床好像一个袋子,一端封闭,一端留有小孔。捕蝇蜂的幼虫半个身体伸在床外,用嘴巴一粒一粒地挑选沙粒,太大的沙粒它看不上眼,会一下子把它丢开。选好后,它再把沙一粒一粒地衔进去,很均匀地铺在吊床袋的四周,就像泥水匠把石子嵌入灰泥一样。
到现在为止,茧子的一端还是开着口的,它必须把它封上。它用丝织成一顶帽子,大小恰巧能盖住茧子的开口处,在这上面,也嵌进一粒一粒的沙。现在茧子可以说做完了。不过捕蝇蜂在茧里还要做一番修葺工作。它在墙上涂一层浆液,为的是避免让自己柔嫩的皮肤被沙粒擦伤或者蹭破。在这之后它就可以安心地睡大觉了。不久它将变成一只成年的捕蝇蜂,就像它的母亲一样。


